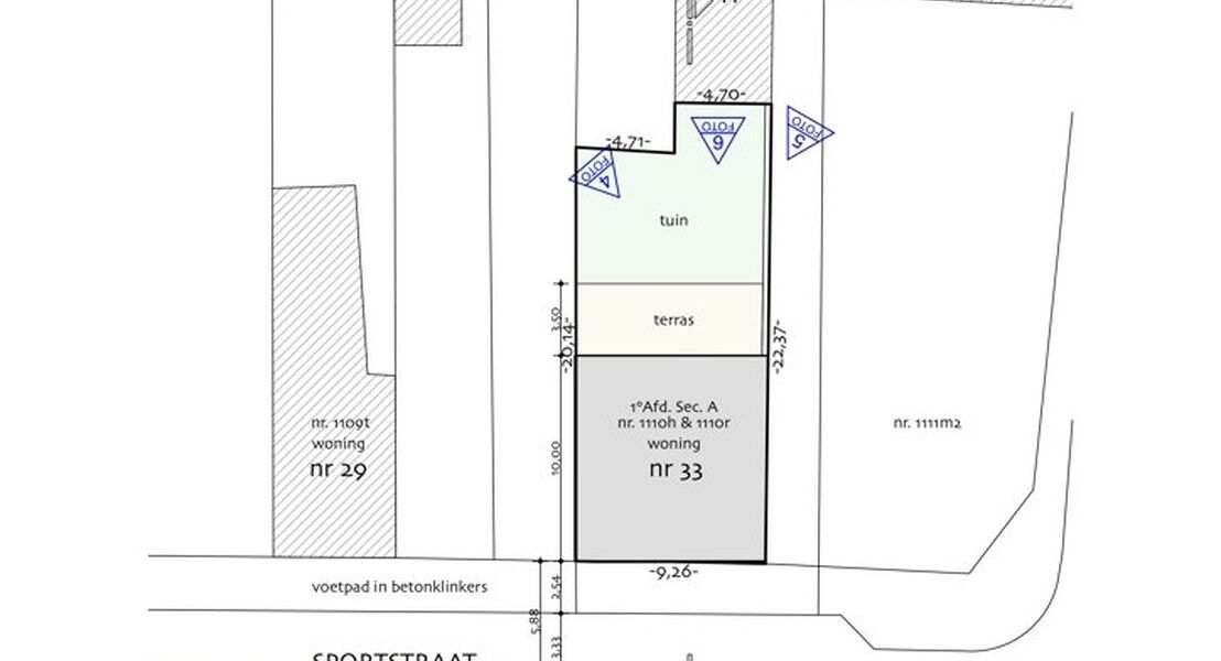
Deze bouwgrond van ongeveer 200 m² is gelegen in een rustige straat in Denderleeuw en beschikt over een straatbreedte van 9,26 meter. Het perceel leent zich uitstekend voor de bouw van een ééngezinswoning en is ideaal voor wie op zoek is naar een compacte maar goed gelegen bouwgrond. Er werd reeds een woning ontworpen op maat van dit perceel, wat het proces voor toekomstige bouwplannen aanzienlijk vereenvoudigt. De locatie combineert een rustige woonomgeving met een vlotte bereikbaarheid. Winkels, scholen en openbaar vervoer bevinden zich op korte afstand, en ook de E40 richting Gent en Brussel is snel bereikbaar.
Deze grond biedt een mooie kans voor wie snel en efficiënt wil bouwen in een goed ontsloten buurt.
Geïnteresseerd? Voor meer informatie of een afspraak, neem contact op met Hannes op 0476/67.79.87 of via hannes@immo-optima.be.
Niet gelegen in overstromingsgebied G-score: C P-score: C
(Gvg - Wg - Gmo - Gvkr - Gvv)
Deze grond biedt een mooie kans voor wie snel en efficiënt wil bouwen in een goed ontsloten buurt.
Geïnteresseerd? Voor meer informatie of een afspraak, neem contact op met Hannes op 0476/67.79.87 of via hannes@immo-optima.be.
Niet gelegen in overstromingsgebied G-score: C P-score: C
(Gvg - Wg - Gmo - Gvkr - Gvv)
financieel
- Prijs
- € 99.000
- Beschikbaarheid
- Vanaf akte
terrein
- Perceel oppervlakte
- 196 m²
- Terreindiepte
- 22 m
stedenbouwkundige informatie
- Bestemming
- Woongebied
- Bouwvergunning
- Nee
- Verkavelingsvergunning
- Nee
- Voorkooprecht
- Nee
- Dagvaarding
- Geen rechterlijke herstelmaatregel of bestuurlijke maatregel opgelegd
Interesse in deze eigendom?

Hannes De Donder
0476 67 79 87
ref: 7147922
Blijf op de hoogte
Schrijf u inOp zoek naar iets specifiek? Laat uw zoekwensen hier achter en we zorgen ervoor dat u het juiste aanbod als eerste in uw mailbox krijgt
Gratis schatting
Wil u graag de échte verkoopwaarde van uw woning kennen? Vraag nu een gratis schatting voor verkoop!
Vraag hier aan
Wenst u te verkopen
U wil uw woning, appartement of bouwgrond snel en zorgeloos verkopen aan een goede prijs? Dan bent u bij Optima uit Opwijk aan het juiste adres.
Ik wil verkopen